

Teren extravilan de vânzare – Moara de Vânt / Șorogari | UAT Iași
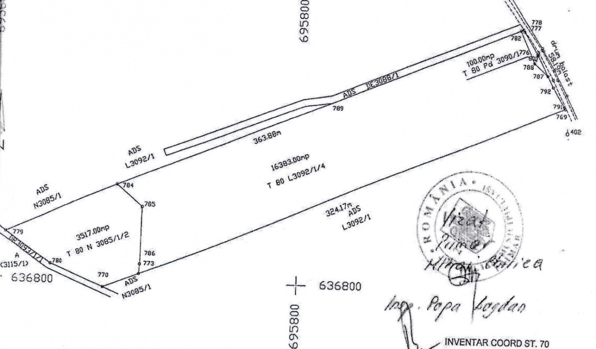
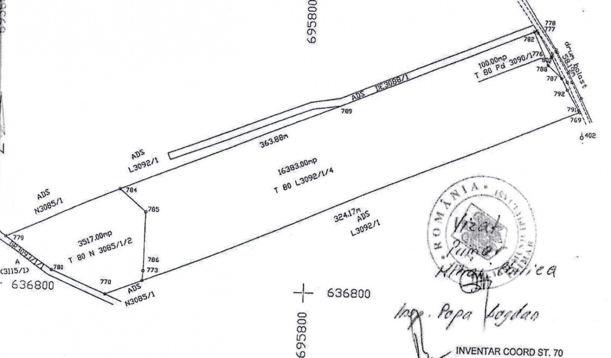
Se propune spre vânzare un teren extravilan, categorie de folosință livadă și neproductiv, cu suprafața de 20.000 mp, situat în zona Moara de Vânt – Șorogari, pe raza UAT Iași, într-un perimetru cu potențial ridicat de dezvoltare urbană.
Proprietatea beneficiază de deschidere la drum de aproximativ 58 metri liniari, aspect care permite o valorificare eficientă în cadrul unui proiect de dezvoltare. Terenul este amplasat între Lacul Aroneanu și viitorul Spital Regional, într-o zonă aflată în plin proces de transformare, cu interes crescut din partea investitorilor.
Utilitățile de apă și electricitate sunt disponibile în zonă. Pentru dezvoltare este necesară întocmirea unui PUZ, terenul fiind pretabil pentru proiecte rezidențiale, mixte sau alte investiții, în funcție de strategia dezvoltatorului.
Datorită poziționării, suprafeței și deschiderii generoase, proprietatea reprezintă o oportunitate solidă de investiție, cu potențial de apreciere pe termen mediu și lung.
Preț: 35 euro/mp
Comision zero pentru cumpărător
Pentru mai multe informații sau pentru a discuta detalii privind potențialul de dezvoltare, vă invităm să ne contactați.